Click to Jump to Maps – Property Details – Pricing – Directions
Interactive Maps
Google Maps
Land id
Property Details
Address: Ocotillo Dr, Casa Grande, AZ, 85194
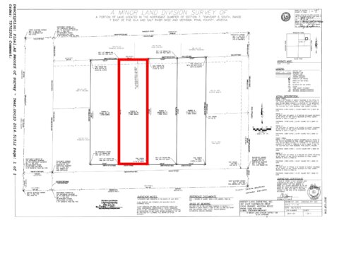
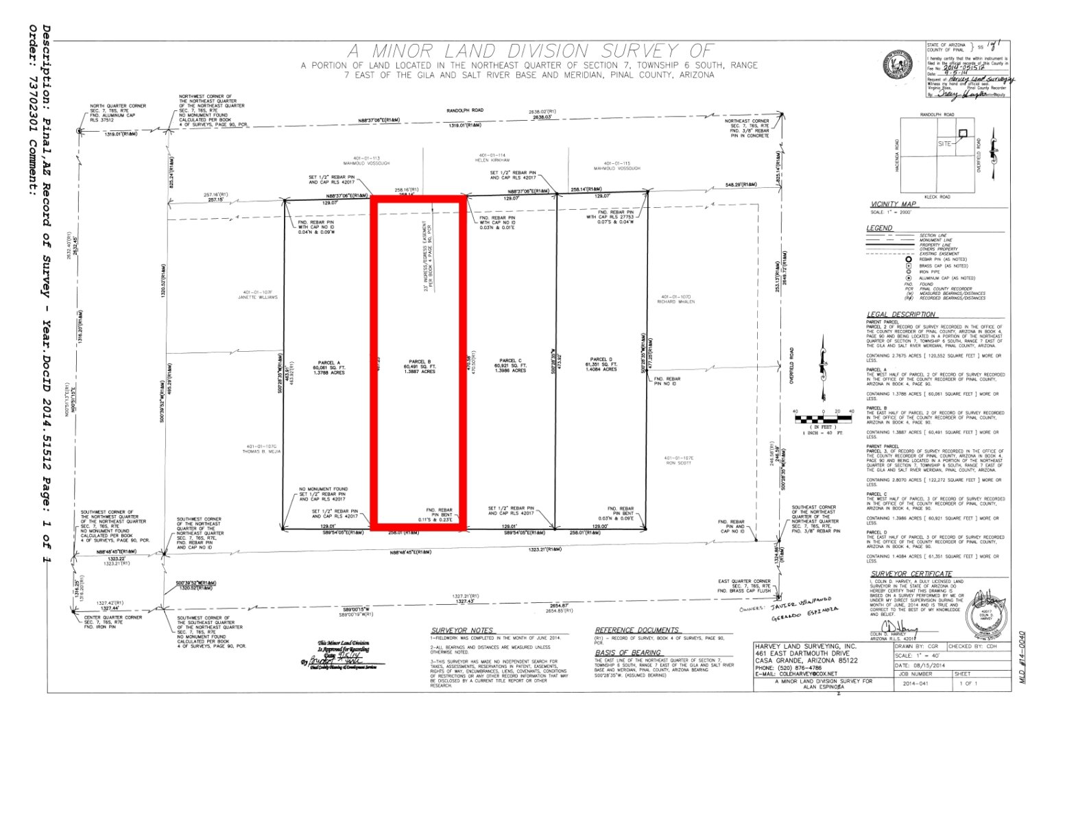
Parcel Number: 40101107J
Legal Description: The East half of Parcel 2 of Record of Survey recorded in Book 9 of Surveys, page 40, also depicted as Parcel B of a Minor Land Division Survey recorded in Fee No. 2014-051512, records of Pinal County, Arizona
County: Pinal
Size: 1.39 Acres
Property Survey or Plat Map: Yes – click here to view property survey
Access: Dirt road
Power: Yes, along the street
Water: Would be well
Sewage: Would be septic
Phone: Cell or Satellite (coverage map)
Zoning: GR – General Rural (Pinal County Zoning Ordinance)
Camping and RV: No (Pinal County Land Use Code)
Mobile Homes Allowed: Yes
Manufactured Homes Allowed: Yes
Site Built Homes Allowed: Yes
Minimum Square Footage: Refer to the 2018 IBC/IRC for building requirements
HOA: None
Flood Zone: No – Zone X (Refer to Land id map above)
Wetlands: No (Refer to Land id map above)
Annual Property Taxes: $602
General Elevation: 1,411 feet
Terrain: Level
Dimensions: 128 x 471 x 132 x 466 feet
Conveyance: Warranty Deed
Title: Free and Clear
Google GPS Corner Coordinates (approximate)
NW: 32.921249, -111.655989
NE: 32.921237, -111.656407
SW: 32.919953, -111.655998
SE: 32.919958, -111.656427
Can You Picture Yourself Here?
Pull into your own 1.39-acre slice of Arizona land, where the desert meets possibility. You’re minutes from Casa Grande—a growing community with grocery stores, shopping centers, and all the essentials you need without the city chaos. This buildable parcel gives you options. You could bring in a manufactured home and be settled within months. Or claim the neighboring lot to the west too and take your time designing a site-built home that fits exactly what you want. Either way, you’re planting roots in an area where people are building lives, not just houses.
Affordable enough to act on now. Located where growth is happening. Flexible enough for your timeline and vision.
Pricing
We will contact you within 1 business day upon receipt of deposit. Owner Finance: From $6,499 Down
A great and reliable company. Worked around our pay schedule, staff was friendly and quick. Would definitely recommend this company to anyone buying. Thank you Compass Land USA for helping us reach our homestead dreams and having a better life. — Justin Collins, Arizona Land Buyer
No credit checks. No prepayment penalties.

How to Visit this 1.39 Acre Lot for Sale in Casa Grande AZ?
From Maricopa:
- Take W Kortsen Rd to N Pinal Ave (1.2 mi)
- Continue on N Overfield Rd. Drive to Ocotillo Dr (1.4 mi)
Land id has a free app you can download to your phone which will be helpful when visiting the property.
Link to property map on Land id
Approximate Distance to Nearby Destinations
7 minutes to I-10
Welcome to Casa Grande, Arizona, where small-town charm meets modern convenience! Enjoy a warm and friendly community, beautiful desert landscapes, and easy access to both Phoenix and Tucson. Casa Grande is the perfect place to call home!
18 minutes to Casa Grande: Population 57,699
37 minutes to Maricopa: Population 62,720
41 minutes to Chandler: Population 279,458
54 minutes to Scottsdale: Population 242,753
52 minutes to Phoenix: Population 1,730,000
42 minutes to Phoenix Sky Harbor International Airport
Points Of Interest
Get ready to explore the beauty of the desert at Peralta Regional Park in Arizona! With its rugged trails, stunning mountain views, and peaceful picnic areas, it’s the perfect spot for outdoor adventures with family and friends. Whether you’re hiking, horseback riding, or simply enjoying a scenic sunset, Peralta Regional Park invites you to experience the magic of the Sonoran Desert in a friendly and welcoming environment.
1 hour 27 minutes to Peralta Regional Park
Activities at Peralta Regional Park: camping, hiking, walking, mountain and road biking, star gazing nodes.
1 hour 46 minutes to Tonto National Forest
Activities at Tonto National Forest: camping/ RVing, hiking, walking, mountain and road biking, boating, swimming
Are you a hunter or fisherman? Property borders Game Management Unit 39 Yuma.
Nearby game includes: Bighorn sheep, mule deer, quail, dove
Nearby fish include: bass, catfish, crappie, trout
Lots of nearby walking, hiking, and biking trails to choose from: Quartz Peak Trail, Stanfield and Maricopa Trail, San Tan Trail, North Mountain Park East Loop, Butterfield Stage Route.
This property is listed with Arizona real estate agent Kendall Weesner of Long Realty, (480) 818-2210 or KendallM@longrealty.com.
To contact Compass Land USA directly you can call or text us anytime at (313) 349-0434.
A great and reliable company. Worked around our pay schedule, staff was friendly and quick. Would definitely recommend this company to anyone buying. Thank you Compass Land USA for helping us reach our homestead dreams and having a better life. — Justin Collins, Arizona Land Buyer


✓ Close safely with a title company with title insurance and third-party escrow.
✓ You don’t need a credit check or proof of income for financing.
✓ We will cover title’s escrow fee, closing fee, and insurance policy cost.
Reference: Pinal_AEspinoza
