Click to Jump to Maps – Property Details – Pricing – Directions
Property Tour
Property Video
Drive to the Property
Interactive Maps
Google Maps
Land id
Property Details
This property is undergoing a lot line adjustment that will be finalized in the upcoming weeks. The details below will be finalized upon completion of the adjustment.
Address: TBD Gilbert St, New Port Richey, FL 34654
Parcel Number: 21-25-17-0120-20900-0060
Legal Description: TBD upon completion of Boundary Line Adjustment Survey
County: Pasco
Size: 1.09 Acres
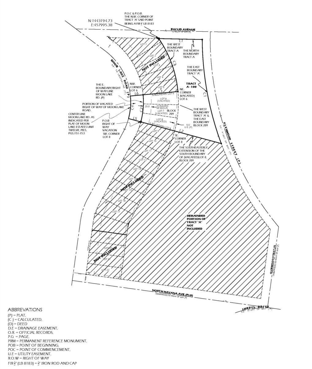
Property Survey or Plat Map: Yes, click this link
Power: At the lot line along Gilbert St and Ember Ave
Water: Would be well (waterlines 190 Feet SW along Moon Lake Rd)
Sewage: Would be septic
Phone: Cell or Satellite (coverage map)
Zoning: AR – Agricultural Residential (Pasco County Zoning Ordinance)
Camping and RV: No (only can store an RV after the dwelling is built) (Pasco County Land Use Code)
Mobile Homes Allowed?: Yes
Manufactured Homes Allowed?: Yes
Site Built Homes Allowed?: Yes
Minimum Square Footage: N/A
HOA: None
Flood Zone: No (more info)
Wetlands: 0.03 Acres of Wetland are on the Western edge of the property. See Wetlands Delineation performed by Monarch Ecology Group in January 2024 (more info)
Gopher Tortoises: There are no gopher tortoises on the property to our knowledge. This was confirmed by a gopher tortoise survey performed in November 2025. See survey here.
Access: Gilbert St and Ember Ave along the property boundaries are dirt roads, Ember becomes paved 160 ft from property boundary.
Annual Property Taxes (approximate): $194
General Elevation: 72 feet
Terrain: Level
Dimensions (Approximate; TBD upon completion of Boundary Line Adjustment Survey): 110 x 524 x 110 x 459 feet
Conveyance: Warranty Deed
Title: Free and Clear
Google GPS Corner Coordinates (Approximate; TBD upon completion of Boundary Line Adjustment Survey)
NW: 28.3025, -82.6158
NE: 28.3025, -82.6154
SW: 28.3015, -82.6158
SE: 28.3015, -82.6151
Can You Picture Yourself Here?
This 1.09-acre property is ready for a new single family home – whether manufactured or site-built. Enjoy the privacy afforded by the dense trees on the property. Deer often meander through the property, imagine enjoying a cup of coffee on your porch observing them silently stalk through on a foggy morning. But the best news is that with road access and power along the north and east boundaries, all you need to figure out is what kind of home you want to build.
This lot is conveniently located just a few minutes from CR 587, ensuring effortless commuting to both New Port Richey and Elfers which are within about 20 minutes drive and offer a wide range of necessities and services, including schools, hospitals, grocery stores, gas stations, Winn-Dixie, Walmart, Sam’s Club, Lowe’s Home Hardware, Napa auto parts, pharmacies, and regional airports.
Tampa’s international airport is 35 minutes from the property. The beaches of the Gulf Coast 🏝️ are just a 30-minute drive. You can easily secure this property today to start enjoying everything that Florida has to offer. Call or Text us anytime to get started or learn more.
Pricing
Discounted Cash Price: $87,999 Or Choose Your Owner Financing Plan: $17,599 down, $1,449/month for 72 months $13,199 down, $1,359/month for 88 months $8,799 down, $1,289/month for 108 months
We can accept higher down or monthly payments. Customize Your Down or Monthly Payment
How to Visit this 1.09 Acre Lot for Sale in New Port Richey FL?
From New Port Richey:
- Head east on Tennessee Ave toward Adams St (0.2 mi)
- Take Decubellis Rd and Moon Lake Rd to Havana Ave (9.1 mi)
- Continue on Havana Ave. Take Sholtz St to Gilbert St (0.5 mi)
Land id has a free app you can download to your phone which will be helpful when visiting the property.
Link to property map on Land id
Approximate Distance to Nearby Cities
1 minute to County Road 587
18 minutes to New Port Richey: Population 16,966
21 minutes to Elfers: Population 12,915
41 minutes to Tampa: Population 413,000
1 hour to Clearwater: Population 116,674
35 minutes to Tampa International Airport
Points Of Interest
Get ready for outdoor bliss at Jay B. Starkey Park in Florida! This nature lover’s paradise offers scenic trails, serene lakes, and lush greenery that make it a haven for hiking, biking, and picnicking. Embrace the Florida sunshine and create unforgettable memories surrounded by the beauty of Jay B. Starkey Park – where adventure and relaxation go hand in hand.
11 minutes to Jay B. Starkey Wilderness Park
Activities at Jay B. Starkey Wilderness Park: Camping / RV, Picnic, bird and wildlife observation, walking / hiking / biking trails
49 minutes to Anclote Key Preserve State Park
Activities at Anclote Key Preserve State Park: bird and wildlife observation, boating, swimming, fishing, snorkeling, camping
Are you a fisherman?
Nearby fish includes: snook, crappie, largemouth bass, flounder, and more. ( fishing report )
This property is listed with Colorado real estate agent Sharanne Rothenbucher of Keller Williams, (719) 406-1141 or sharanne@kw.com.
To contact Compass Land USA directly you can call or text us anytime at (313) 349-0434.
A great and reliable company. Worked around our pay schedule, staff was friendly and quick. Would definitely recommend this company to anyone buying. Thank you Compass Land USA for helping us reach our homestead dreams and having a better life. — Justin Collins, Arizona Land Buyer


✓ Close safely with a title company with title insurance and third-party escrow.
✓ You don’t need a credit check or proof of income for financing.
✓ We will cover title’s escrow fee, closing fee, and insurance policy cost.
Reference: Pasco_AMassidas1A



