Click to Jump to Maps – Property Details – Pricing – Directions
Interactive Maps
Google Maps
Land id
Property Details
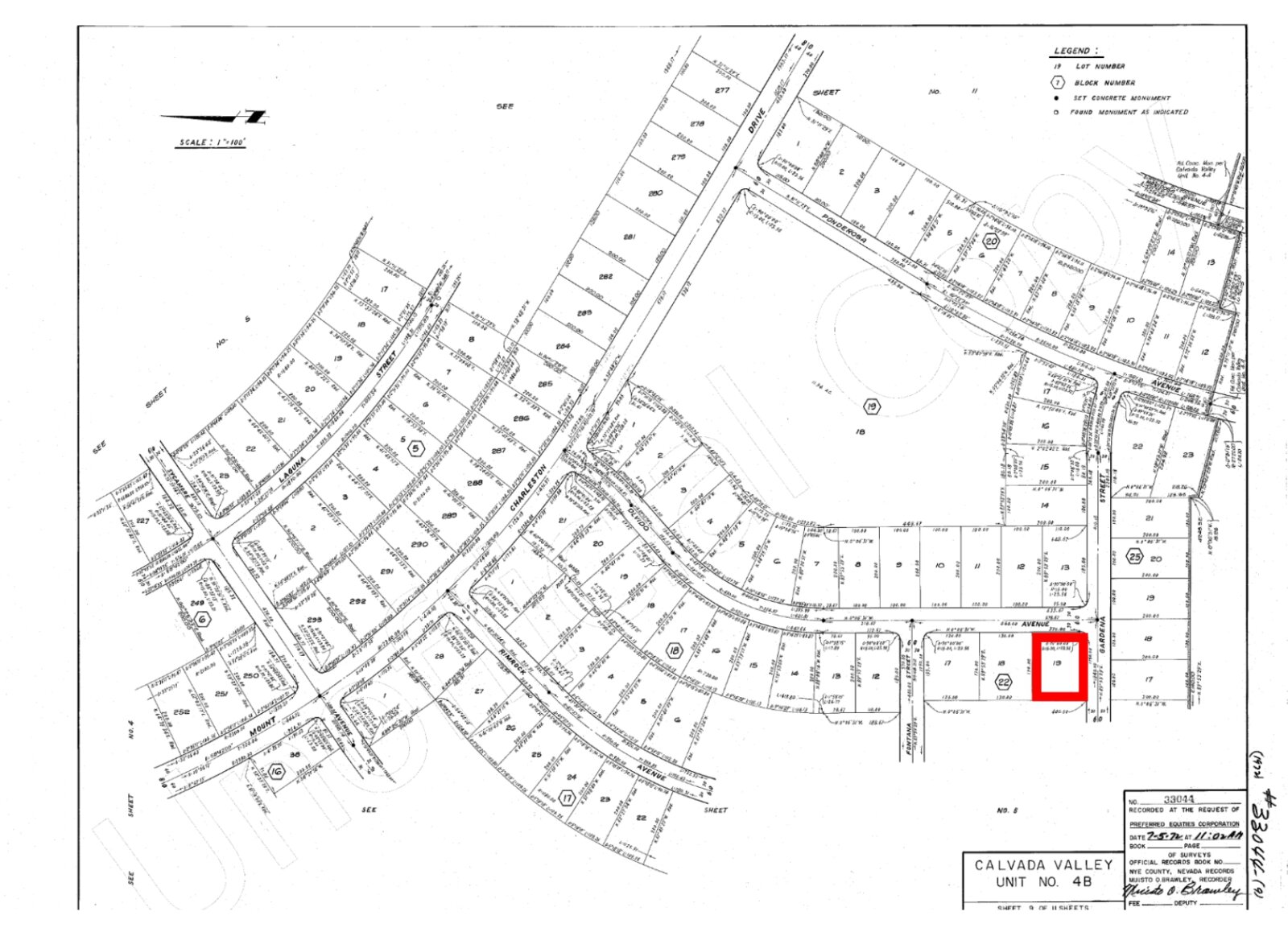
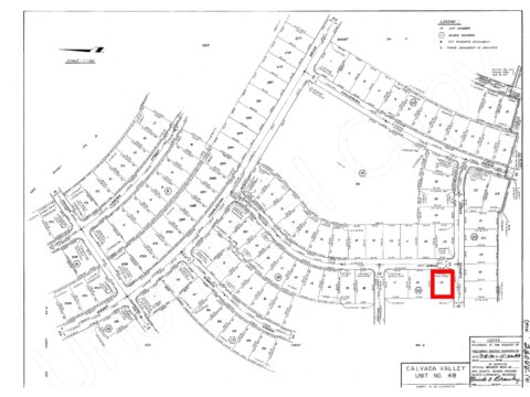
Address: 2730 Olvido Ave, Pahrump, NV, 89048
Parcel Number: 40-451-07
Legal Description: Lot Nineteen (19) in Block Twenty-Two (22) of CALVADA VALLEY UNIT NO. 4B, as shown by map thereof recorded July 5, 1972 as Instrument No. 33044, in the Office of the County Recorder of Nye
County, Nevada
County: Nye
Size: 0.51 Acre
Property Survey or Plat Map: Yes – click this link
Power: 275 ft East along Gina St
Water: City water near the lot line
Sewage: Would be septic
Phone: Cell or Satellite (coverage map)
Zoning: VR-20
Camping and RV: RVs are allowed while building with a temporary use permit.
Mobile Homes Allowed?: No
Manufactured Homes Allowed?: Yes
Site Built Homes Allowed?: Yes
Minimum Square Footage: 720 sq ft
HOA: None
Flood Zone: Yes – Zone AO (Refer to Land id map above)
Wetlands: No (Refer to Land id map above)
Access: Paved road
Annual Property Taxes: $110
General Elevation: 2,621 feet
Terrain: Level
Dimensions: 170 x 130 x 170 x 135 feet
Conveyance: Warranty Deed
Title: Free and Clear
Google GPS Corner Coordinates
NW: 36.1799, -116.0008
NE: 36.1799, -116.0003
SW: 36.1795, -116.0008
SE: 36.1795, -116.0003
Can You Picture Yourself Here?
Discover the perfect blend of convenience and comfort with this ideally located 0.51-acre property! Just minutes away from shopping centers, restaurants, schools, and hospitals—everything you need is right at your doorstep. The electricity pole is located 275 feet east of the site. You can experience the stunning scenery while benefiting from essential amenities. Live where life happens.
This property is conveniently situated just 5 minutes from the Pahrump Valley Highway, ensuring effortless commuting. Pahrump downtown is just 7 minutes away. It offers you a wide range of necessities and services – including schools, hospitals, grocery stores, gas stations, Winn-Dixie, Walmart, Publix, Dollar General, Napa auto parts, pharmacies, and regional airports. International Airport is a 1-hour 4-minute drive from the property.
This lot is an ideal spot for those who love excitement and outdoor activities. Whether you’re an adult looking to enjoy a peaceful retirement or a young adventurer seeking thrills, this location has something for everyone. Lake View Executive Golf Course is just 2 minutes away. With nearby golf courses, parks, and the Red Rock Canyon Conservation Area, you can indulge in golfing, hunting, hiking, rock climbing, fishing, and so much more.
Pricing
Discounted Cash Price: $24,999 Or Choose Your Owner Financing Plan: $4,999 down, $569/month for 45 months $3,749 down, $539/month for 53 months $2,499 down, $519/month for 60 months
We can accept higher down or monthly payments. Customize Your Down or Monthly Payment
How to Visit this 0.51 Acre Lot for Sale in Pahrump NV?
From Pahrump:
- Head southeast on NV-160 E (0.4 mi)
- Turn right onto S Dandelion St (0.9 mi)
- Take Pahrump Valley Blvd to E Mount Charleston Dr (1.3 mi)
- Follow E Mount Charleston Dr, Ponderosa Ave and Gina St to your destination (0.6 mi)
Land id has a free app you can download to your phone which will be helpful when visiting the property.
Link to property map on Land id
Approximate Distance to Nearby Cities
5 minutes to Pahrump Valley Highway
Discover the charm of Pahrump, Nevada, where you can enjoy the perfect blend of small-town tranquility and modern amenities. With breathtaking desert landscapes, convenient proximity to Las Vegas, and a welcoming community, Pahrump is an ideal place to call home.
6 minutes to Pahrump: Population 44,711
1 hour 7 minutes to Paradise: Population 189,733
1 hour 22 minutes to Henderson: Population 331,415
1 hour 9 minutes to Las Vegas: Population 656,274
1 hour 4 minutes to Harry Reid International Airport
Points Of Interest
Explore the stunning beauty of Red Rock Canyon National Conservation Area, just a short drive from Las Vegas. With its vibrant red sandstone formations, scenic hiking trails, and abundant wildlife, this natural wonder is perfect for a day of adventure and breathtaking views. Come and experience the magic of Red Rock Canyon!
34 minutes to Red Rock Canyon National Conservation Area
Activities at Red Rock Canyon National Conservation Area: camping, target shooting, hunting, fishing, hiking /biking, rock climbing.
1 hour 25 minutes to Lake Mead Recreation Area
Activities at Lake Mead Recreation Area: camping, fishing, boating and kayaking, hiking, walking, mountain and road biking.
Are you a hunter or fisherman? Property is bordering Game Management Unit 262
Nearby game includes: big horn sheep, antelope, elk & mule deer.
This property is listed with Arizona real estate agent Steve Malek of Nevada Realty, (702) 970-3000 or teammalek@hotmail.com.
To contact Compass Land USA directly you can call or text us anytime at (313) 349-0434.
A great and reliable company. Worked around our pay schedule, staff was friendly and quick. Would definitely recommend this company to anyone buying. Thank you Compass Land USA for helping us reach our homestead dreams and having a better life. — Justin Collins, Arizona Land Buyer


✓ Close safely with a title company with title insurance and third-party escrow.
✓ You don’t need a credit check or proof of income for financing.
✓ We will cover ALL closing costs.
Reference: Nye_BMallari
